bellevue.de-ID: 30617589
Grundstücke für Einzel- und Doppelhäuser
- Grundstück
- · Preis auf Anfrage
Objektbeschreibung
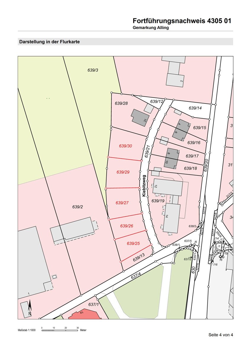
Bei den hier angebotenen Bauparzellen (im Plan beschriftet mit Nr. 26 bis 30) handelt es sich um Einzelhaus-Grundstücke (26, 27, 28) bzw. um Grundstücke für jeweils eine Doppelhaushälfte (29, 30) am südlichen "Kiebitzweg" in Alling.
GRUNDSTÜCKSGRÖSSE ...mehr lesen
GRUNDSTÜCKSGRÖSSE ...mehr lesen
Bei den hier angebotenen Bauparzellen (im Plan beschriftet mit Nr. 26 bis 30) handelt es sich um Einzelhaus-Grundstücke (26, 27, 28) bzw. um Grundstücke für jeweils eine Doppelhaushälfte (29, 30) am südlichen "Kiebitzweg" in Alling.
GRUNDSTÜCKSGRÖSSEN & FLURNUMMERN:
26: FlSt. 639/30 = 680 m² - VERKAUFT
27: FlSt. 639/29 = 681 m² - RESERVIERT
28: FlSt. 639/27 = 680 m² (für EFH / 2-FH)
29: FlSt. 639/26 = 440 m² (Doppelhaushälfte)
30: FlSt. 639/25 = 450 m² (Doppelhaushälfte)
29+30: FlSt. 639/25+639/26 = ca. 890 m² (für EFH / 2-FH)
Alternativ kann auf den zusammengefassten Grundstücken 29+30 auch ein Einzelhaus errichtet werden.
Die Grundstücke sind bereits amtlich vermessen.
Der Bebauungsplan(*) ist seit 02.12.2025 gemäß der amtlichen Bekanntmachung rechtskräftig.
Die zukünftige Ausrichtung des Gebäudes wird perfekt nach Süden und Westen hin orientiert sein; der spätere Baukörper wird gleichzeitig ideal auf dem Grundstück platziert sein.
Der *NUN GÜLTIGE B-PLAN* (zweite Änderung*) sieht vor (hier auszugsweise aufgeführt):
- Allgemeines Wohngebiet
- Dachform: Satteldach, Dachneigung 30 bis 38 Grad
- Dachflächen in rot, rot-braun oder anthrazit
- GRZ (maximal zulässige Gesamt-Grundflächenzahl): 0,44
- zulässige Grundfläche (GR): 140 m² bei #26,27,28
- zulässige Grundfläche (GR): 160 m² bei #29/30 (80 m² pro Haushälfte)
- maximal 2 Vollgeschosse (II VG)
- Festgesetzte Hauptfirstrichtung: ja (siehe Plan)
- maximal zulässige Wandhöhe: 6,50 m
- offene Bauweise
- Gesamtfläche für Garagen oder Carports: max. 40 m² je Baugrundstück
- Wandhöhe für Garagen/Carports und Nebenanlagen: max. 3 m
- Nebenanlagen (Gartenhäuser, Müllhäuser) bis 10 m² sind je Grundstück auch außerhalb der Baugrenzen zulässig.
Je Einzelhaus sind maximal zwei Wohnungen, je Doppelhaushälfte maximal eine Wohnung zulässig. Die zulässige Grundfläche darf durch Außentreppen, Vordächer, Balkone, Terrassen, Terrassenüberdachungen und Wintergärten um bis zu 15 % überschritten werden. Die Grundfläche von Wintergärten darf bei Doppelhaushälften jeweils max. 15 m² und bei Einzelhäusern max. 20 m² betragen. Dachgauben sind erst ab einer Dachneigung des Hauptgebäudes von 35 Grad zulässig und müssen sich in Form und Gestaltung unterordnen. Maximale Breite einer Gaube beträgt 1,8 m. Die Summe aller Gaubenbreiten je Dachfläche darf max. 1/3 der Dachlänge betragen. Anstatt von Gauben kann je Einzelhaus an einer der Traufseiten ein Quergiebel mit einer max. Breite von 1/4 der Wandlänge errichtet werden. Bei Doppelhäusern sind keine Quergiebel zulässig.
KAUFPREISE (Festpreise pro Parzelle):
Parzelle 26: RESERVIERT
Parzelle 27: RESERVIERT
Parzelle 28: 750.000 €
Parzelle 29: 440.000 €
Parzelle 30: 450.000 €
Parzellen 29+30: 890.000 €
(*) 2. Änderung des Bebauungsplans "Wohngebiet westlich der Gilchinger Straße, südlicher Teilbereich"
GRUNDSTÜCKSGRÖSSEN & FLURNUMMERN:
26: FlSt. 639/30 = 680 m² - VERKAUFT
27: FlSt. 639/29 = 681 m² - RESERVIERT
28: FlSt. 639/27 = 680 m² (für EFH / 2-FH)
29: FlSt. 639/26 = 440 m² (Doppelhaushälfte)
30: FlSt. 639/25 = 450 m² (Doppelhaushälfte)
29+30: FlSt. 639/25+639/26 = ca. 890 m² (für EFH / 2-FH)
Alternativ kann auf den zusammengefassten Grundstücken 29+30 auch ein Einzelhaus errichtet werden.
Die Grundstücke sind bereits amtlich vermessen.
Der Bebauungsplan(*) ist seit 02.12.2025 gemäß der amtlichen Bekanntmachung rechtskräftig.
Die zukünftige Ausrichtung des Gebäudes wird perfekt nach Süden und Westen hin orientiert sein; der spätere Baukörper wird gleichzeitig ideal auf dem Grundstück platziert sein.
Der *NUN GÜLTIGE B-PLAN* (zweite Änderung*) sieht vor (hier auszugsweise aufgeführt):
- Allgemeines Wohngebiet
- Dachform: Satteldach, Dachneigung 30 bis 38 Grad
- Dachflächen in rot, rot-braun oder anthrazit
- GRZ (maximal zulässige Gesamt-Grundflächenzahl): 0,44
- zulässige Grundfläche (GR): 140 m² bei #26,27,28
- zulässige Grundfläche (GR): 160 m² bei #29/30 (80 m² pro Haushälfte)
- maximal 2 Vollgeschosse (II VG)
- Festgesetzte Hauptfirstrichtung: ja (siehe Plan)
- maximal zulässige Wandhöhe: 6,50 m
- offene Bauweise
- Gesamtfläche für Garagen oder Carports: max. 40 m² je Baugrundstück
- Wandhöhe für Garagen/Carports und Nebenanlagen: max. 3 m
- Nebenanlagen (Gartenhäuser, Müllhäuser) bis 10 m² sind je Grundstück auch außerhalb der Baugrenzen zulässig.
Je Einzelhaus sind maximal zwei Wohnungen, je Doppelhaushälfte maximal eine Wohnung zulässig. Die zulässige Grundfläche darf durch Außentreppen, Vordächer, Balkone, Terrassen, Terrassenüberdachungen und Wintergärten um bis zu 15 % überschritten werden. Die Grundfläche von Wintergärten darf bei Doppelhaushälften jeweils max. 15 m² und bei Einzelhäusern max. 20 m² betragen. Dachgauben sind erst ab einer Dachneigung des Hauptgebäudes von 35 Grad zulässig und müssen sich in Form und Gestaltung unterordnen. Maximale Breite einer Gaube beträgt 1,8 m. Die Summe aller Gaubenbreiten je Dachfläche darf max. 1/3 der Dachlänge betragen. Anstatt von Gauben kann je Einzelhaus an einer der Traufseiten ein Quergiebel mit einer max. Breite von 1/4 der Wandlänge errichtet werden. Bei Doppelhäusern sind keine Quergiebel zulässig.
KAUFPREISE (Festpreise pro Parzelle):
Parzelle 26: RESERVIERT
Parzelle 27: RESERVIERT
Parzelle 28: 750.000 €
Parzelle 29: 440.000 €
Parzelle 30: 450.000 €
Parzellen 29+30: 890.000 €
(*) 2. Änderung des Bebauungsplans "Wohngebiet westlich der Gilchinger Straße, südlicher Teilbereich"
Immobiliendetails
-
NutzungsartWohnen
-
ObjektartWohngrundstück
-
HauptobjektartGrundstück
-
VertragsartKauf
-
ErschließungVoll erschlossen
-
Anbieter-ObjektnummerAlling Grundstücke
Preise & Kosten
-
CourtageKeine besondere Angabe.
Energie
-
GebäudeartWohngebäude
-
Ausgestelltnicht nötig
Standort & Lage
Die Grundstücke bzw. das Grundstück befindet sich in herrlicher Lage in 82239 Alling, Kiebitzweg (ruhige Anwohnerstraße, momentan Sackgasse). Die Grundstücke sind perfekt nach Westen und Süden hin ausgerichtet. In westlicher Richtung ist die Umgebung
...mehr lesen
Die Grundstücke bzw. das Grundstück befindet sich in herrlicher Lage in 82239 Alling, Kiebitzweg (ruhige Anwohnerstraße, momentan Sackgasse). Die Grundstücke sind perfekt nach Westen und Süden hin ausgerichtet. In westlicher Richtung ist die Umgebung überwiegend durch Grünflächen und Landwirtschaft geprägt. Östlich der Zufahrtsstraße befinden sich ein niveauvolles Mehrfamilienhaus, sowie Doppelhäuser. Südlich befindet sich das Sportareal des TSV Alling.
Einkaufsmöglichkeiten (REWE-Supermarkt mit Bäcker und Fleischtheke sowie ALDI) sind in unmittelbarer Nähe (ca. 2 Gehminuten) vorhanden. Die nächste Bushaltestelle ist ca. 5 Gehminuten (ca. 500 m) entfernt. Grundschule, Mehrzweckhalle und Kindergarten befinden sich in ca. 650 m Entfernung.
LEBENSWERTES ALLING. SYMPATHISCHE GEMEINDE MIT HERZ, VOR DEN TOREN MÜNCHENS.
Die ca. 4000 Einwohner zählende Gemeinde Alling im Landkreis Fürstenfeldbruck befindet sich in direkter Nachbarschaft zu den Städten Germering und Gilching, sowie natürlich Fürstenfeldbruck. Mit dem Auto erreicht man in ca. 35 Minuten die Münchner Innenstadt, Pasing sogar schon in rund 20 Minuten. Die Verkehrsanbindung via B2 und über die Autobahnen A99 und A96 ist ideal.
OHNE AUTO UNTERWEGS? KEIN PROBLEM!
Die beiden Express-Buslinien X900 und X920 bringen Sie bequem und schnell von Alling zu diversen S-Bahnstationen in der Umgebung (Fürstenfeldbruck, Buchenau, Gilching Argelsried und/oder Starnberg) und sogar zur U6-Haltestelle ins Münchner Klinikum Großhadern. Mit der Buslinie 852 ist auch die Stadt Germering und die S-Bahn „Germering-Unterpfaffenhofen“ ideal erreichbar. Je nach gewählter Verbindung liegt Alling in der Tarifzone M-1 oder M-2.
DIE INFRASTRUKTUR: ALLES DA, WAS MAN BRAUCHT!
Am Ort befindet sich ein Einkaufszentrum mit REWE-Supermarkt, IHLE-Bäcker und Metzgerei, sowie ein Discounter (Aldi). Mehrere Banken und ein Getränkemarkt, sowie diverse Hofläden/Biohöfe runden das Versorgungsangebot vor Ort ideal ab. Unzählig weitere Einkaufsmöglichkeiten befinden sich in den umliegenden Städten Germering, Gilching, Fürstenfeldbruck. Auch das Ikarus-Center in Puchheim ist nur wenige Autominuten entfernt. Die Abende lassen sich in den sympathischen Restaurants „Le Chay“, „Starzel-Stuben“ und im „Rusticone“ verbringen, und auch die Event-Location „Alpaka-Beach“ sorgt für Unterhaltung. In der Konditorei & Kaffeerösterei, besser gesagt bei der „Tortenfee“ gibt es auch sonntags frischgebackene Köstlichkeiten.
DAMIT SICH DIE KLEINSTEN AUCH WOHLFÜHLEN.
In Alling hat 2025 eine neue Kindertagesstätte eröffnet. Diese befindet sich direkt neben der Grundschule, die ab 2025 zudem die Möglichkeit einer offenen Ganztagesschule bieten wird. Weiters existieren eine BRK-Krippe, ein katholischer Hort und Kindergarten, sowie ein gemeinnütziger Mittagsbetreuungsverein, der sich um eine fachgerechte Betreuung der kleinen und kleinsten „Allinger“ kümmert.
FREIZEIT. VEREINE & SPORTPROGRAMM.
Aber auch die größeren Kids und die Erwachsenen kommen bei dem vor Ort angebotenem Sport-, Freizeit und Vereinsprogramm auf ihre Kosten. Jugendtreff, Landjugend, Bolzplätze, Reitställe, diverse Vereine und der TSV sind hier nur einige Beispiele.
Die „großen“ Seen in der Region sind jedermann ein Begriff: Weßlinger- und Wörthsee, Pilsensee, Ammersee und Starnberger See. Aber auch viele kleinere Badeseen sind ideale Ruheoasen, die zum Verweilen & Genießen – und vielleicht zu einer Radtour dorthin einladen. Hier sind insbesondere der Eichenauer See, der Germeringer See, das Pucher Meer und der Olchinger See besonders empfehlenswert. Entlang der Amper finden sich auch hübsche Plätze, um Abseits des Trubels ein schönes Buch zu lesen, das SUP zu benutzen und die Seele baumeln zu lassen. Aber auch diverse Frei- und Hallenbäder sind vorhanden.
Einkaufsmöglichkeiten (REWE-Supermarkt mit Bäcker und Fleischtheke sowie ALDI) sind in unmittelbarer Nähe (ca. 2 Gehminuten) vorhanden. Die nächste Bushaltestelle ist ca. 5 Gehminuten (ca. 500 m) entfernt. Grundschule, Mehrzweckhalle und Kindergarten befinden sich in ca. 650 m Entfernung.
LEBENSWERTES ALLING. SYMPATHISCHE GEMEINDE MIT HERZ, VOR DEN TOREN MÜNCHENS.
Die ca. 4000 Einwohner zählende Gemeinde Alling im Landkreis Fürstenfeldbruck befindet sich in direkter Nachbarschaft zu den Städten Germering und Gilching, sowie natürlich Fürstenfeldbruck. Mit dem Auto erreicht man in ca. 35 Minuten die Münchner Innenstadt, Pasing sogar schon in rund 20 Minuten. Die Verkehrsanbindung via B2 und über die Autobahnen A99 und A96 ist ideal.
OHNE AUTO UNTERWEGS? KEIN PROBLEM!
Die beiden Express-Buslinien X900 und X920 bringen Sie bequem und schnell von Alling zu diversen S-Bahnstationen in der Umgebung (Fürstenfeldbruck, Buchenau, Gilching Argelsried und/oder Starnberg) und sogar zur U6-Haltestelle ins Münchner Klinikum Großhadern. Mit der Buslinie 852 ist auch die Stadt Germering und die S-Bahn „Germering-Unterpfaffenhofen“ ideal erreichbar. Je nach gewählter Verbindung liegt Alling in der Tarifzone M-1 oder M-2.
DIE INFRASTRUKTUR: ALLES DA, WAS MAN BRAUCHT!
Am Ort befindet sich ein Einkaufszentrum mit REWE-Supermarkt, IHLE-Bäcker und Metzgerei, sowie ein Discounter (Aldi). Mehrere Banken und ein Getränkemarkt, sowie diverse Hofläden/Biohöfe runden das Versorgungsangebot vor Ort ideal ab. Unzählig weitere Einkaufsmöglichkeiten befinden sich in den umliegenden Städten Germering, Gilching, Fürstenfeldbruck. Auch das Ikarus-Center in Puchheim ist nur wenige Autominuten entfernt. Die Abende lassen sich in den sympathischen Restaurants „Le Chay“, „Starzel-Stuben“ und im „Rusticone“ verbringen, und auch die Event-Location „Alpaka-Beach“ sorgt für Unterhaltung. In der Konditorei & Kaffeerösterei, besser gesagt bei der „Tortenfee“ gibt es auch sonntags frischgebackene Köstlichkeiten.
DAMIT SICH DIE KLEINSTEN AUCH WOHLFÜHLEN.
In Alling hat 2025 eine neue Kindertagesstätte eröffnet. Diese befindet sich direkt neben der Grundschule, die ab 2025 zudem die Möglichkeit einer offenen Ganztagesschule bieten wird. Weiters existieren eine BRK-Krippe, ein katholischer Hort und Kindergarten, sowie ein gemeinnütziger Mittagsbetreuungsverein, der sich um eine fachgerechte Betreuung der kleinen und kleinsten „Allinger“ kümmert.
FREIZEIT. VEREINE & SPORTPROGRAMM.
Aber auch die größeren Kids und die Erwachsenen kommen bei dem vor Ort angebotenem Sport-, Freizeit und Vereinsprogramm auf ihre Kosten. Jugendtreff, Landjugend, Bolzplätze, Reitställe, diverse Vereine und der TSV sind hier nur einige Beispiele.
Die „großen“ Seen in der Region sind jedermann ein Begriff: Weßlinger- und Wörthsee, Pilsensee, Ammersee und Starnberger See. Aber auch viele kleinere Badeseen sind ideale Ruheoasen, die zum Verweilen & Genießen – und vielleicht zu einer Radtour dorthin einladen. Hier sind insbesondere der Eichenauer See, der Germeringer See, das Pucher Meer und der Olchinger See besonders empfehlenswert. Entlang der Amper finden sich auch hübsche Plätze, um Abseits des Trubels ein schönes Buch zu lesen, das SUP zu benutzen und die Seele baumeln zu lassen. Aber auch diverse Frei- und Hallenbäder sind vorhanden.
Anbieter
VILGERTSHOFER Italia srl.
Frau Anna Vilgertshofer
Via Galileo Galilei 10
39100 Bozen
39100 Bozen
Ansprechpartner
Immobilienabteilung VILGERTSHOFER Home GmbH
Am Hartholz 1
82239 Alling
82239 Alling