Angebot 4661 von 17636

Anbieter kontaktieren

AGB, Datenschutz & Verbraucherhinweis wurden gelesen und akzeptiert.

Classic Immobilien

Lutz Westermann
22869 Schenefeld
  • Mehr erfahren
bellevue.de-ID: 30602045

Architektenvilla und 5.339m²gärtnerisch angelegter Parkin bevorzugter Wohnlage

  • Haus
  • · 5 Zimmer
  • · 170 m² Wohnfläche
  • · 5.339 m² Grundstücksfläche
  • · 2.960.000 € Kaufpreis
Anbieter kontaktieren

Objektbeschreibung

Klassische Architektenvilla (Bj. 2002, Architekt Dino Ries, Blankenese) mit Teilkeller, integrierter ebenerdiger Doppelgarage, Auffahrt, Galerie und zwei überdachten Terrassen. Das Anwesen verfügt über ca. 170m² Wohnfläche, verteilt auf 5 Zimmer ...mehr lesen
Klassische Architektenvilla (Bj. 2002, Architekt Dino Ries, Blankenese) mit Teilkeller, integrierter ebenerdiger Doppelgarage, Auffahrt, Galerie und zwei überdachten Terrassen. Das Anwesen verfügt über ca. 170m² Wohnfläche, verteilt auf 5 Zimmer sowie einen geräumigen und wohnlichen Keller (ca. 92m²) mit Wellnessbereich. Garage und Gartenraum haben weitere 50m² Nutzfläche.
Die Beheizung erfolgt über eine Ölzentralheizung mit Kellertank (10.000 L.) aus dem Baujahr.

Als beeindruckend und einzigartig kann das kaum einsehbare Grundstück bezeichnet werden. Gartenarchitektonisch auf höchstem Niveau angelegt, finden sich hier verschiedene Themenfelder. Ob es die farbenprächtigen und pittoresken Blumenrabatten sind, die einem beim täglichen Blick aus dem Küchenfenster erfreuen, die Naturwiese und das Wäldchen im hinteren Grundstücksbereich, die schwungvoll und großflächig angelegten Rasenflächen oder die repräsentative Auffahrt zum Haus - für Abwechslung und jede Stimmungslage ist gesorgt!

Immobiliendetails

  • Nutzungsart
    Wohnen
  • Objektart
    Villa
  • Hauptobjektart
    Haus
  • Vertragsart
    Kauf
  • Objektzustand
    Neuwertig
  • Baujahr
    2001
  • Zimmer (gesamt)
    5
  • Anzahl Badezimmer
    2
  • Anzahl separate WC
    2
  • Anzahl Parkflächen
    1
  • Wohnfläche (ca.)
    170 m²
  • Grundstücksfläche (ca.)
    5.339 m²
  • Nutzfläche (ca.)
    143 m²
  • Anzahl Terrassen
    1
  • Garagenstellplätze
    1
  • Anzahl Etagen
    3
  • Anbieter-Objektnummer
    982

Preise & Kosten

  • Courtage
    3,57 % inklusive der gesetzlichen Mehrwertsteuer

Energie

  • Befeuerungsart
    Öl
  • Energieausweis
    Energiebedarfsausweis
  • Endenergiebedarf
    141,2 kWh/(m²*a)
  • Baujahr (laut Energieausweis)
    2001
  • Energiepass gültig bis
    2035-08-27
  • Energieeffizienzklasse
    E
  • Gebäudeart
    Wohngebäude
  • Wesentlicher Energieträger
    OEL
  • Ausgestellt
    nach dem 1.5.2014

Ausstattung

  • Kamin
  • Sauna
  • Gäste-WC
  • Rolladen
  • Freistehend
  • Terrasse
  • Nichtraucher
  • Waschraum
  • Keller
  • Deckenhöhe über 2,50 m
Weiße Hochglanz-Wohnküche mit Granit-Arbeitsplatte und Sylter Klöntür
Elektrische Rollläden
Vollbad zzgl. Dusche
Separates WC mit Bidet & Gäste-WC
Galerie und mondäne weiße Landhaustreppe
Massive Landhausdiele (Eiche) & Kaminofen
Großzügiger ...mehr lesen
Weiße Hochglanz-Wohnküche mit Granit-Arbeitsplatte und Sylter Klöntür
Elektrische Rollläden
Vollbad zzgl. Dusche
Separates WC mit Bidet & Gäste-WC
Galerie und mondäne weiße Landhaustreppe
Massive Landhausdiele (Eiche) & Kaminofen
Großzügiger Hauswirtschaftsbereich
Geräumiger und ebenerdiger Gartenraum
Begehbare Abseiten
Wellnessbereich mit Sauna, Dusche, Ruheraum
Doppelgarage mit Sektionaltor
Auffahrt mit elektrischer Toranlage

Standort & Lage

Ruhig und grün bettet sich dieses repräsentative Anwesen im Pinneberger Villenviertel "Vossbarg".
Das Viertel wird dominiert von hochwertigen Einfamilienhäusern und schön angelegten Grundstücken. Möglichkeiten für ausgiebige Spaziergänge ergeben sich ...mehr lesen
Ruhig und grün bettet sich dieses repräsentative Anwesen im Pinneberger Villenviertel "Vossbarg".
Das Viertel wird dominiert von hochwertigen Einfamilienhäusern und schön angelegten Grundstücken. Möglichkeiten für ausgiebige Spaziergänge ergeben sich unmittelbar vor der Haustür.
Eine Buslinie 285 bringt Sie Richtung S-Bahnhof Thesdorf (S3) oder in Richtung Hamburg-Iserbrook.

Sportliche Aktivitäten finden Sie z.B. fußläufig im Pinneberger Tennisclub oder in den Golfclubs Weidenhof und Peiner Hof sowie weiteren Anlagen.

Alle Schulzweige und mehrere Kindergärten sind schnell und bequem erreichbar. Es gibt in Pinneberg drei Grundschulen, eine Gemeinschaftsschule und zwei Gymnasien. Weiterhin gibt es neun Kindergärten. Als Gewinn für die Stadt Pinneberg konnte zudem die Ansiedlung der Internationalen Schule verzeichnet werden. Diese ist mit dem Auto in drei, mit dem Fahrrad in 4 Minuten gut erreichbar.

25421 Pinneberg · DEU

Die genaue Anschrift erfahren Sie vom Anbieter

Sonstiges

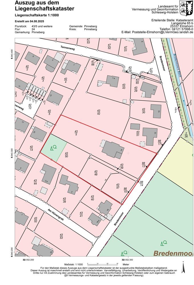
Besonderheit: Das Grundstück verfügt über mehrere Flurstücke und die Möglichkeit, weitere Häuser mit eigener Zufahrt zu errichten (siehe Flurkarte).

Anbieter

2025 Best Property Agents

Ansprechpartner

Verbraucherhinweis

Widerrufsbelehrung des Anbieters

Gilt nicht für Wohnraummiete in Deutschland

Widerrufsrecht für Verbraucher

Sie haben das Recht, binnen vierzehn Tagen ohne Angabe von Gründen diesen Vertrag zu widerrufen. Die Widerrufsfrist beträgt vierzehn Tage ab dem Tag des Vertragsabschlusses.

Um Ihr Widerrufsrecht auszuüben, müssen Sie uns (Classic Immobilien, Hauptstr. 90, 22869 Schenefeld, Fax: 040-44809967, Tel: 040-44809882, classicim@aol.com) mittels einer eindeutigen Erklärung (z. B. ein mit der Post versandter Brief, Telefax oder E-Mail) über Ihren Entschluss, diesen Vertrag zu widerrufen, informieren. Sie können dafür das beigefügte Muster-Widerrufsformular verwenden, das jedoch nicht vorgeschrieben ist. Zur Wahrung der Widerrufsfrist reicht es aus, dass Sie die Mitteilung über die Ausübung des Widerrufsrechts vor Ablauf der Widerrufsfrist absenden.

Folgen des Widerrufs

Wenn Sie diesen Vertrag widerrufen, haben wir Ihnen alle Zahlungen, die wir von Ihnen erhalten haben, einschließlich der Lieferkosten (mit Ausnahme der zusätzlichen Kosten, die sich daraus ergeben, dass Sie eine andere Art der Lieferung als die von uns angebotene, günstigste Standardlieferung gewählt haben), unverzüglich und spätestens binnen vierzehn Tagen ab dem Tag zurückzuzahlen, an dem die Mitteilung über Ihren Widerruf dieses Vertrags bei uns eingegangen ist. Für diese Rückzahlung verwenden wir dasselbe Zahlungsmittel, das Sie bei der ursprünglichen Transaktion eingesetzt haben, es sei denn, mit Ihnen wurde ausdrücklich etwas anderes vereinbart; in keinem Fall werden Ihnen wegen dieser Rückzahlung Entgelte berechnet. Haben Sie verlangt, dass die Dienstleistungen während der Widerrufsfrist beginnen soll, so haben Sie uns einen angemessenen Betrag zu zahlen, der dem Anteil der bis zu dem Zeitpunkt, zu dem Sie uns von der Ausübung des Widerrufsrechts hinsichtlich dieses Vertrags unterrichten, bereits erbrachten Dienstleistungen im Vergleich zum Gesamtumfang der im Vertrag vorgesehenen Dienstleistungen entspricht.

Muster-Widerrufsformular

(Wenn Sie den Vertrag widerrufen wollen, dann füllen Sie dieses Formular aus und senden Sie es zurück.)

An Classic Immobilien, Hauptstr. 90, 22869 Schenefeld, Fax: 040-44809967, classicim@aol.com
Hiermit widerrufe(n) ich/wir (*) den von mir/uns (*) abgeschlossenen Vertrag über den Kauf der folgenden Waren (*)/die Erbringung der folgenden Dienstleistung (*)


- Bestellt am (*)/erhalten am (*)

- Name des/der Verbraucher(s)

- Anschrift des/der Verbraucher(s)

- Unterschrift des/der Verbraucher(s) (nur bei Mitteilung auf Papier)
- Datum


(*) Unzutreffendes streichen

Hinweis auf die Möglichkeit eines vorzeitigen Erlöschens des Widerrufsrechts

Ihr Widerrufsrecht erlischt, wenn wir unsere Leistung vollständig erbracht haben und mit der Ausführung der Leistung erst begonnen haben, nachdem Sie Ihre ausdrückliche Zustimmung gegeben haben und gleichzeitig Ihre Kenntnis davon bestätigt haben, dass Sie Ihr Widerrufsrecht bei vollständiger Vertragserfüllung durch uns verlieren.

Impressum Classic Immobilien
VERTRETUNGSBERECHTIGTE/R
Christoph Bürsing


Hauptstr. 90 90
22869 Schenefeld
DEU
Tel.: 040-44809882
E-Mail: classicim@aol.com
Fax: 040-44809967
Homepage: http://www.classic-immobilien.de

ZUSTÄNDIGE AUFSICHTSBEHÖRDE
Stadt Schenefeld, Holstenplatz 1-3, 22869 Schenefeld / Tel.: 040 - 830 37 0 Fax: 040 - 830 37 177 E-Mail: rathaus(at)stadt-schenefeld.de

HANDELSREGISTER-EINTRAG
nicht vorhanden


UST-ID-NUMMER
DE172857544

ZUSÄTZLICHER TEXT
Verbraucherinformationen Online-Streitbeilegung gemäß Art. 14 Abs. 1 ODR-VO: Die Europäische Kommission stellt eine Plattform zur Online-Streitbeilegung (OS) bereit, die Sie hier finden: http://ec.europa.eu/consumers/odr
Anbieter kontaktieren

AGB, Datenschutz & Verbraucherhinweis wurden gelesen und akzeptiert.