Angebot 443 von 17614

Anbieter kontaktieren

AGB, Datenschutz & Verbraucherhinweis wurden gelesen und akzeptiert.

RN Immobilien GmbH

Ramin Neumann
22113 Oststeinbek
  • Mehr erfahren
bellevue.de-ID: 30613045

Positiver Bauvorbescheid! 4 Baugrundstücke in Billstedt mit Altbestand. Neubau mit mind. 4WE möglich

  • Grundstück
  • · 1.180 m² Grundstücksfläche
  • · Preis auf Anfrage
Anbieter kontaktieren

Objektbeschreibung

Bebaubarkeit und Nutzungsmöglichkeiten!

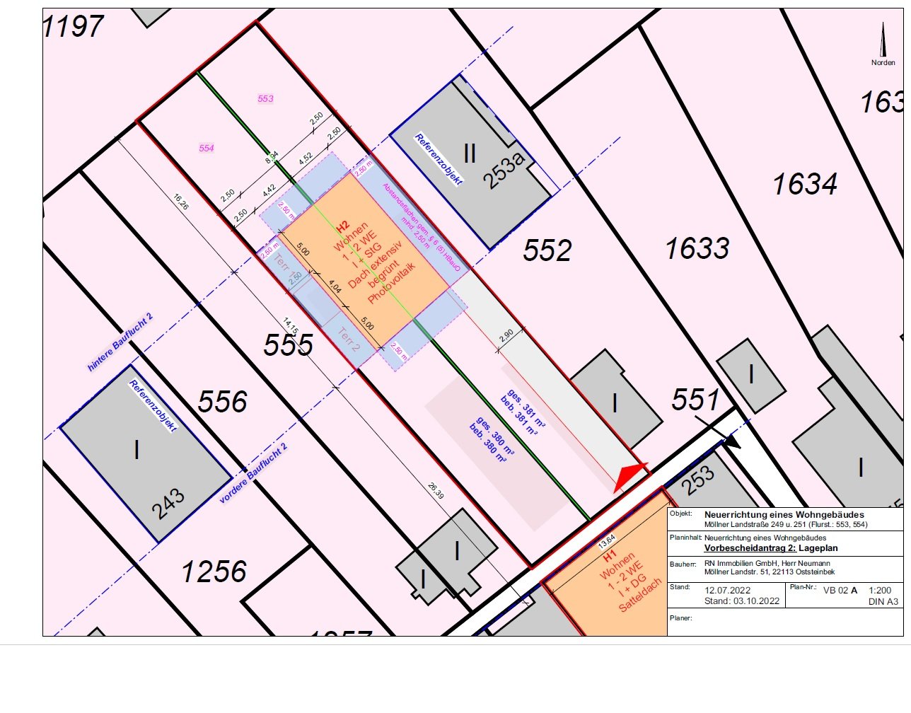
Das ca. 1.180 m² große Grundstück ist gemäß dem Bebauungsplan BS Billstedt (siehe Anlage) bebaubar.

Auf den vorderen Grundstücken befinden sich jeweils Reihenhäuser mit ca. 80 m² Wohnfläche pro Einheit. Die ...mehr lesen
Bebaubarkeit und Nutzungsmöglichkeiten!

Das ca. 1.180 m² große Grundstück ist gemäß dem Bebauungsplan BS Billstedt (siehe Anlage) bebaubar.

Auf den vorderen Grundstücken befinden sich jeweils Reihenhäuser mit ca. 80 m² Wohnfläche pro Einheit. Die Bebauung der hinteren Grundstücke ist ebenfalls möglich und eröffnet somit zusätzliche Nutzungspotenziale.

Für die Bebauung der hinteren Grundstücke wird empfohlen, einen Bauvorbescheid zu beantragen. Aufgrund der besonderen Möglichkeit, die vier Grundstücke sowie mindestens ein weiteres angrenzendes Grundstück zu erwerben, ergeben sich vielversprechende Chancen für eine weitergehende Bebauung.

Infrastruktur und Anschlüsse
Die Grundstücke verfügen über eigene Anschlüsse und sind bestens erschlossen. Zu den vorhandenen Versorgungsleitungen gehören:

Internetanschluss (Glasfaser)
Wasser
Strom
Gas
Zentrale Abwasserentsorgung
Die Grundstücke setzen sich aus vier Flurstücken zusammen. Zudem besteht die Möglichkeit, mindestens ein weiteres angrenzendes Grundstück zu erwerben, was zusätzliche Gestaltungsmöglichkeiten eröffnet.

Immobiliendetails

  • Nutzungsart
    Wohnen
  • Objektart
    Wohngrundstück
  • Hauptobjektart
    Grundstück
  • Vertragsart
    Kauf
  • Grundstücksfläche (ca.)
    1.180 m²
  • Verfügbarkeit
    ab sofort
  • Anbieter-Objektnummer
    161517855#jAS48

Preise & Kosten

  • Courtage
    7,14 % Käuferprovision inkl. MwSt., verdient und fällig mit Beurkundung des notariellen Kaufvertrages an die Fa. RN Immobilien GmbH.

    7,14 % inklusive der gesetzlichen Mehrwertsteuer

Standort & Lage

Billstedt liegt im Osten von Hamburg und grenzt direkt an den Süden Stormarns. Diverse Sportvereine, ein Freizeitbad, sowie der Öjendorfer Park bieten Möglichkeiten zur aktiven Freizeitgestaltung.

Einkaufsmöglichkeiten sowie Schulen, Kindergärten, ...mehr lesen
Billstedt liegt im Osten von Hamburg und grenzt direkt an den Süden Stormarns. Diverse Sportvereine, ein Freizeitbad, sowie der Öjendorfer Park bieten Möglichkeiten zur aktiven Freizeitgestaltung.

Einkaufsmöglichkeiten sowie Schulen, Kindergärten, Ärzte und Restaurants bieten eine ausreichende Rundumversorgung. Billstedt hat einen unmittelbaren Anschluss an die Bundesautobahn A 1 Hamburg-Lübeck bzw. in Richtung Süden Hannover/Bremen.

Über einen Abzweig von der A 1 Richtung Lübeck ist die BAB A 24 Hamburg/Berlin zu erreichen. Außerdem ist die Hamburger Innenstadt von Billstedt aus über die B 5 in ca. 15 Minuten erreichbar.

Der Flughafen Hamburg-Fuhlsbüttel ist ca. 25 Kilometer weit entfernt. Buslinien des HVV's, sowie die gegenüberliegende U-Bahn-Station Steinfurther Allee vervollständigen die vorzügliche Verkehrsanbindung.

22117 Hamburg · DEU

Die genaue Anschrift erfahren Sie vom Anbieter

Sonstiges

Der Maklervertrag mit uns und/oder unserem Beauftragten kommt durch schriftliche Vereinbarung oder durch die Inanspruchnahme unserer Maklertätigkeit auf der Basis des Objekt-Exposés und seiner Bedingungen zustande. Die Käufercourtage in Höhe von ...mehr lesen
Der Maklervertrag mit uns und/oder unserem Beauftragten kommt durch schriftliche Vereinbarung oder durch die Inanspruchnahme unserer Maklertätigkeit auf der Basis des Objekt-Exposés und seiner Bedingungen zustande. Die Käufercourtage in Höhe von 7,14% auf den Kaufpreis einschließlich gesetzlicher Mehrwertsteuer ist bei notariellem Vertragsabschluss verdient und fällig. Die Fa. RN Immobilien GmbH und ggf. deren Beauftragte erhält einen unmittelbaren Zahlungsanspruch gegenüber dem Käufer (Vertrag zugunsten Dritter, § 328 BGB) und ist bei notarieller Beurkundung fällig.

Dokumente

Anbieter

Logo von RN Immobilien GmbH
2025 Best Property Agents

Ansprechpartner

Verbraucherhinweis

Widerrufsbelehrung des Anbieters

(Gilt nicht für Wohnraummiete in Deutschland)

Widerrufsrecht für Verbraucher
Sie haben das Recht, binnen vierzehn Tagen ohne Angabe von Gründen diesen Vertrag zu widerrufen. Die Widerrufsfrist beträgt vierzehn Tage ab dem Tag des Vertragsabschlusses.
Um Ihr Widerrufsrecht auszuüben, müssen Sie uns (RN Immobilien GmbH, Möllner Landstrasse 51, 22113 Oststeinbek, 015153938000, info@rnimmobilien.de) mittels einer eindeutigen Erklärung (z. B. ein mit der Post versandter Brief, Telefax oder E-Mail) über Ihren Entschluss, diesen Vertrag zu widerrufen, informieren. Sie können dafür das beigefügte Muster-Widerrufsformular verwenden, das jedoch nicht vorgeschrieben ist. Zur Wahrung der Widerrufsfrist reicht es aus, dass Sie die Mitteilung über die Ausübung des Widerrufsrechts vor Ablauf der Widerrufsfrist absenden.

Folgen des Widerrufs
Wenn Sie diesen Vertrag widerrufen, haben wir Ihnen alle Zahlungen, die wir von Ihnen erhalten haben, einschließlich der Lieferkosten (mit Ausnahme der zusätzlichen Kosten, die sich daraus ergeben, dass Sie eine andere Art der Lieferung als die von uns angebotene, günstigste Standardlieferung gewählt haben), unverzüglich und spätestens binnen vierzehn Tagen ab dem Tag zurückzuzahlen, an dem die Mitteilung über Ihren Widerruf dieses Vertrags bei uns eingegangen ist. Für diese Rückzahlung verwenden wir dasselbe Zahlungsmittel, das Sie bei der ursprünglichen Transaktion eingesetzt haben, es sei denn, mit Ihnen wurde ausdrücklich etwas anderes vereinbart; in keinem Fall werden Ihnen wegen dieser Rückzahlung Entgelte berechnet. Haben Sie verlangt, dass die Dienstleistungen während der Widerrufsfrist beginnen soll, so haben Sie uns einen angemessenen Betrag zu zahlen, der dem Anteil der bis zu dem Zeitpunkt, zu dem Sie uns von der Ausübung des Widerrufsrechts hinsichtlich dieses Vertrags unterrichten, bereits erbrachten Dienstleistungen im Vergleich zum Gesamtumfang der im Vertrag vorgesehenen Dienstleistungen entspricht.

Muster-Widerrufsformular
(Wenn Sie den Vertrag widerrufen wollen, dann füllen Sie dieses Formular aus und senden Sie es zurück.)

An RN Immobilien GmbH, Möllner Landstrasse 51, 22113 Oststeinbek, 015153938000, info@rnimmobilien.de

Hiermit widerrufe ich/wir den von mir/uns abgeschlossenen Vertrag über den Kauf der folgenden Waren /die Erbringung der folgenden Dienstleistung


Bestellt am /erhalten am

Name des/der Verbraucher(s)

Anschrift des/der Verbraucher(s)

Unterschrift des/der Verbraucher(s) (nur bei Mitteilung auf Papier)

Datum


( Unzutreffendes streichen )


Hinweis auf die Möglichkeit eines vorzeitigen Erlöschens des Widerrufsrechts

Ihr Widerrufsrecht erlischt, wenn wir unsere Leistung vollständig erbracht haben und mit der Ausführung der Leistung erst begonnen haben, nachdem Sie Ihre ausdrückliche Zustimmung gegeben haben und gleichzeitig Ihre Kenntnis davon bestätigt haben, dass Sie Ihr Widerrufsrecht bei vollständiger Vertragserfüllung durch uns verlieren.

Impressum RN Immobilien GmbH
VERTRETUNGSBERECHTIGTE/R
Ramin Neumann


Möllner Landstrasse 51
22113 Oststeinbek
DEU
Tel.: 015153938000
E-Mail: info@rnimmobilien.de
Homepage: https://www.rnimmobilien.de/

ZUSTÄNDIGE AUFSICHTSBEHÖRDE
Möllner Landstrasse 51

HANDELSREGISTER-EINTRAG
HRB1979HL
Amtsgericht Lübeck

UST-ID-NUMMER
30/293/64152
Anbieter kontaktieren

AGB, Datenschutz & Verbraucherhinweis wurden gelesen und akzeptiert.