Anbieter kontaktieren
HausHirsch GmbH
Thorsten Schöbernig
40211 Düsseldorf
- Mehr erfahren
bellevue.de-ID: 30616383
Außergewöhnliches Grundstück in Bestlage des Taunus – flexible Flächengröße
- Grundstück
- · 835 m² Grundstücksfläche
- · 480.000 € Kaufpreis
Objektbeschreibung
In exponierter Höhenlage des Taunus, im begehrten Kelkheimer Ortsteil Eppenhain – einem anerkannten Erholungs- und Luftkurort – bietet sich dieses Areal als seltene Gelegenheit für vorausschauende Investoren und Projektentwickler. Das aktuell
...mehr lesen
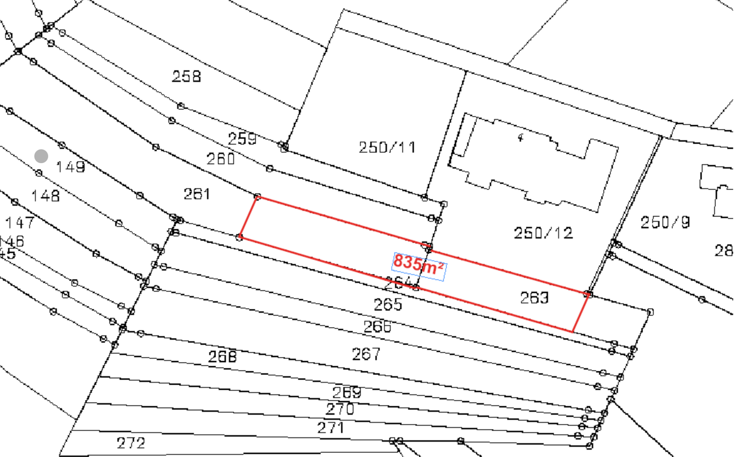
In exponierter Höhenlage des Taunus, im begehrten Kelkheimer Ortsteil Eppenhain – einem anerkannten Erholungs- und Luftkurort – bietet sich dieses Areal als seltene Gelegenheit für vorausschauende Investoren und Projektentwickler. Das aktuell angebotene Grundstück, eine Teilfläche des gesamten Grundstückes, umfasst eine Fläche von ca. 835 m². Diese Fläche kann wahlweise einzeln oder gemeinsam mit den weiteren Teilflächen erworben werden, sodass ein Gesamterwerb von insgesamt ca. 6.509 m² möglich ist.
Die Lage überzeugt durch einen unvergleichlichen Weitblick in südlicher und südwestlicher Richtung – über Wiesbaden, Mainz und bis hin zum Donnersberg. Die Kombination aus Höhenlage, Aussicht und langfristigem Entwicklungspotenzial macht dieses Angebot zu einer besonderen Gelegenheit im Rhein-Main-Gebiet.
Die ausgewiesene Teilfläche bietet Perspektiven für eine mögliche zukünftige Wohnbebauung. Eine Realisierung könnte nach aktueller Einschätzung innerhalb der nächsten drei bis fünf Jahre möglich werden, unter Umständen auch früher. Eine verbindliche Garantie zur Umlegung kann derzeit nicht gegeben werden. Dieser Umstand ist bewusst im attraktiven Angebotspreis berücksichtigt, der rund 50 % unter dem heutigen Marktwert für voll erschlossenes Bauland liegt. Das Grundstück richtet sich somit insbesondere an Käufer mit langfristigem Anlagehorizont und strategischem Weitblick.
Bereits im Jahr 2008 wurde das Areal im Vorentwurf des damaligen Flächennutzungsplans der Regionalplanung Frankfurt als potenzielle zukünftige Wohnbaufläche vorgeschlagen. Dieser planerische Vorgriff unterstreicht die grundsätzliche Eignung des Gebietes für eine spätere Entwicklung. Der entsprechende FNP-Vorentwurf aus 2008 liegt vor.
Das Grundstück grenzt unmittelbar an die bestehende Bebauungsgrenze des gültigen Bebauungsplans „Am Liehberg“. Im Bebauungsplan ist zudem eine weitere Stichstraße vorgesehen, die direkt zu dem Areal führen soll, bislang jedoch noch nicht realisiert wurde. Das Grundstück ist bereits teilweise erschlossen: Ein aktiver Mischwasserkanal verläuft entlang des Grundstücksrands, zudem befinden sich ein Strommast sowie ein Stromkasten in unmittelbarer Nähe. Diese infrastrukturellen Gegebenheiten bilden eine solide Grundlage für eine spätere Erschließung.ff
Die Kombination aus ruhiger Höhenlage im Luftkurort Eppenhain, unmittelbarer Nähe zu ausgedehnten Wald- und Naturlandschaften sowie dem außergewöhnlichen Fernblick zählt dieses Areal zu den attraktivsten Entwicklungsflächen im Taunus. Die sehr gute Anbindung innerhalb des Rhein-Main-Gebiets mit kurzen Wegen nach Frankfurt, Wiesbaden und Mainz unterstreicht die nachhaltige Wertstabilität und das Potenzial dieser Lage.
Dieses Grundstück bietet eine seltene Möglichkeit, sich frühzeitig eine potenzielle Wohnbaufläche in einer der gefragtesten Regionen Hessens zu sichern – mit flexiblem Flächenzuschnitt, außergewöhnlichem Panorama, langfristigen Entwicklungsperspektiven und erheblichem Wertsteigerungspotenzial.
Die Lage überzeugt durch einen unvergleichlichen Weitblick in südlicher und südwestlicher Richtung – über Wiesbaden, Mainz und bis hin zum Donnersberg. Die Kombination aus Höhenlage, Aussicht und langfristigem Entwicklungspotenzial macht dieses Angebot zu einer besonderen Gelegenheit im Rhein-Main-Gebiet.
Die ausgewiesene Teilfläche bietet Perspektiven für eine mögliche zukünftige Wohnbebauung. Eine Realisierung könnte nach aktueller Einschätzung innerhalb der nächsten drei bis fünf Jahre möglich werden, unter Umständen auch früher. Eine verbindliche Garantie zur Umlegung kann derzeit nicht gegeben werden. Dieser Umstand ist bewusst im attraktiven Angebotspreis berücksichtigt, der rund 50 % unter dem heutigen Marktwert für voll erschlossenes Bauland liegt. Das Grundstück richtet sich somit insbesondere an Käufer mit langfristigem Anlagehorizont und strategischem Weitblick.
Bereits im Jahr 2008 wurde das Areal im Vorentwurf des damaligen Flächennutzungsplans der Regionalplanung Frankfurt als potenzielle zukünftige Wohnbaufläche vorgeschlagen. Dieser planerische Vorgriff unterstreicht die grundsätzliche Eignung des Gebietes für eine spätere Entwicklung. Der entsprechende FNP-Vorentwurf aus 2008 liegt vor.
Das Grundstück grenzt unmittelbar an die bestehende Bebauungsgrenze des gültigen Bebauungsplans „Am Liehberg“. Im Bebauungsplan ist zudem eine weitere Stichstraße vorgesehen, die direkt zu dem Areal führen soll, bislang jedoch noch nicht realisiert wurde. Das Grundstück ist bereits teilweise erschlossen: Ein aktiver Mischwasserkanal verläuft entlang des Grundstücksrands, zudem befinden sich ein Strommast sowie ein Stromkasten in unmittelbarer Nähe. Diese infrastrukturellen Gegebenheiten bilden eine solide Grundlage für eine spätere Erschließung.ff
Die Kombination aus ruhiger Höhenlage im Luftkurort Eppenhain, unmittelbarer Nähe zu ausgedehnten Wald- und Naturlandschaften sowie dem außergewöhnlichen Fernblick zählt dieses Areal zu den attraktivsten Entwicklungsflächen im Taunus. Die sehr gute Anbindung innerhalb des Rhein-Main-Gebiets mit kurzen Wegen nach Frankfurt, Wiesbaden und Mainz unterstreicht die nachhaltige Wertstabilität und das Potenzial dieser Lage.
Dieses Grundstück bietet eine seltene Möglichkeit, sich frühzeitig eine potenzielle Wohnbaufläche in einer der gefragtesten Regionen Hessens zu sichern – mit flexiblem Flächenzuschnitt, außergewöhnlichem Panorama, langfristigen Entwicklungsperspektiven und erheblichem Wertsteigerungspotenzial.
Immobiliendetails
-
NutzungsartWohnen
-
ObjektartWohngrundstück
-
HauptobjektartGrundstück
-
VertragsartKauf
-
Grundstücksfläche (ca.)835 m²
-
ErschließungTeilweise erschlossen
-
Verfügbarkeitab sofort
-
Anbieter-ObjektnummerHA2529942
Preise & Kosten
-
CourtageDie angegebene Käuferprovision (inkl. MwSt.) ist verdient und fällig mit Beurkundung des notariellen Kaufvertrages.
4,76 % inklusive der gesetzlichen Mehrwertsteuer
Energie
-
GebäudeartWohngebäude
-
Ausgestelltnicht nötig
Standort & Lage
Das Grundstück befindet sich in außergewöhnlich attraktiver Höhenlage im Kelkheimer Ortsteil Eppenhain, einem der begehrtesten Wohnstandorte im Taunus. Eppenhain ist offiziell Luftkurort, geprägt von frischer Höhenluft, weitläufiger Natur und hohem
...mehr lesen
Das Grundstück befindet sich in außergewöhnlich attraktiver Höhenlage im Kelkheimer Ortsteil Eppenhain, einem der begehrtesten Wohnstandorte im Taunus. Eppenhain ist offiziell Luftkurort, geprägt von frischer Höhenluft, weitläufiger Natur und hohem Erholungswert. Gleichzeitig gilt das Areal – trotz seiner besonderen Qualitäten – noch immer als echter Geheimtipp für Kenner des Taunusmarktes. Die Lage am Ortsrand, unterhalb eines ruhigen, gewachsenen Wohngebietes, zeichnet sich durch großzügige Grundstücke, viel Grün und eine harmonische Nachbarschaft aus. Dank der erhöhten Taunuslage bietet das Areal – je nach Position auf dem Grundstück – beeindruckende Fernblicke über die bewaldeten Taunushöhen bis nach Wiesbaden, Mainz und zum Donnersberg. Die Straße, die direkt zum Grundstück führt, ist frei von Durchgangsverkehr und garantiert ein besonders ruhiges Wohnumfeld.
Der Ortsteil ist bekannt für seine exklusiven Villen aus dem 19. Jahrhundert, die das historische und gehobene Flair der Umgebung prägen. Das Areal liegt in einem der höchstgelegenen und naturnahesten Ortsteile Kelkheims und bietet unmittelbaren Zugang zu weitläufigen Wander- und Radwegen, die direkt vor der Haustür beginnen. Dies macht die Lage besonders attraktiv für Naturliebhaber, Familien und Menschen, die Ruhe und Entspannung in einer hochwertigen Umgebung suchen.
Das Grundstück bietet Perspektiven für eine mögliche zukünftige Wohnbaufläche. Eine Realisierung könnte innerhalb der nächsten drei bis fünf Jahre erfolgen, unter Umständen auch früher. Eine verbindliche Garantie zur Umlegung kann derzeit jedoch nicht gegeben werden. Entsprechend attraktiv ist der Angebotspreis, der rund 50 % unter dem aktuellen Marktwert für vollwertiges Bauland liegt. Auf Wunsch können auch Teilflächen erworben werden, was zusätzliche Flexibilität für unterschiedliche Nutzungskonzepte oder Investitionsstrategien bietet.
Bereits im Jahr 2008 wurde das Areal im Vorentwurf des damaligen Flächennutzungsplans von der Regionalplanung Frankfurt als potenzielle zukünftige Wohnbaufläche vorgeschlagen. Dieser planerische Vorgriff unterstreicht die grundsätzliche Eignung des Grundstücks für eine spätere Entwicklung. Der entsprechende Vorentwurf des Flächennutzungsplans liegt vor.
Das Areal grenzt direkt an die bestehende Bebauungsgrenze des gültigen Bebauungsplans „Am Liehberg“ und ist bereits teilweise erschlossen: Ein aktiver Mischwasserkanal verläuft am Grundstück, zudem befinden sich ein Strommast und ein Stromkasten in unmittelbarer Nähe. Zwei Zuwegungen gewährleisten eine flexible Erschließung: Die östliche Zuwegung misst ca. 8 Meter Breite und 482 m² Fläche, die westliche Zuwegung ca. 15 Meter Breite und 1.852 m² Fläche. Beide Zuwegungen können bei Bedarf zusätzlich erworben werden. Zusammen mit dem Hauptareal ergibt sich eine Gesamtfläche von rund 6.509 m².
Die Kombination aus naturnaher Höhenlage, beeindruckendem Fernblick, historisch geprägtem Umfeld und vollständiger Flexibilität bei der Grundstücksteilung macht dieses Areal zu einer einzigartigen Gelegenheit im Taunus. Die Nähe zu Kelkheim, Frankfurt, Wiesbaden und dem gesamten Rhein-Main-Gebiet sichert zusätzlich eine hervorragende Verkehrsanbindung, während das ruhige, verkehrsfreie Wohnumfeld höchsten Wohnkomfort garantiert.
Dieses Grundstück bietet somit eine seltene Chance, sich eine potenzielle Wohnbaufläche in einer der exklusivsten und attraktivsten Lagen des Taunus zu sichern – mit langfristigem Entwicklungspotenzial, flexiblem Erwerb und außergewöhnlichen Aussichten.
Der Ortsteil ist bekannt für seine exklusiven Villen aus dem 19. Jahrhundert, die das historische und gehobene Flair der Umgebung prägen. Das Areal liegt in einem der höchstgelegenen und naturnahesten Ortsteile Kelkheims und bietet unmittelbaren Zugang zu weitläufigen Wander- und Radwegen, die direkt vor der Haustür beginnen. Dies macht die Lage besonders attraktiv für Naturliebhaber, Familien und Menschen, die Ruhe und Entspannung in einer hochwertigen Umgebung suchen.
Das Grundstück bietet Perspektiven für eine mögliche zukünftige Wohnbaufläche. Eine Realisierung könnte innerhalb der nächsten drei bis fünf Jahre erfolgen, unter Umständen auch früher. Eine verbindliche Garantie zur Umlegung kann derzeit jedoch nicht gegeben werden. Entsprechend attraktiv ist der Angebotspreis, der rund 50 % unter dem aktuellen Marktwert für vollwertiges Bauland liegt. Auf Wunsch können auch Teilflächen erworben werden, was zusätzliche Flexibilität für unterschiedliche Nutzungskonzepte oder Investitionsstrategien bietet.
Bereits im Jahr 2008 wurde das Areal im Vorentwurf des damaligen Flächennutzungsplans von der Regionalplanung Frankfurt als potenzielle zukünftige Wohnbaufläche vorgeschlagen. Dieser planerische Vorgriff unterstreicht die grundsätzliche Eignung des Grundstücks für eine spätere Entwicklung. Der entsprechende Vorentwurf des Flächennutzungsplans liegt vor.
Das Areal grenzt direkt an die bestehende Bebauungsgrenze des gültigen Bebauungsplans „Am Liehberg“ und ist bereits teilweise erschlossen: Ein aktiver Mischwasserkanal verläuft am Grundstück, zudem befinden sich ein Strommast und ein Stromkasten in unmittelbarer Nähe. Zwei Zuwegungen gewährleisten eine flexible Erschließung: Die östliche Zuwegung misst ca. 8 Meter Breite und 482 m² Fläche, die westliche Zuwegung ca. 15 Meter Breite und 1.852 m² Fläche. Beide Zuwegungen können bei Bedarf zusätzlich erworben werden. Zusammen mit dem Hauptareal ergibt sich eine Gesamtfläche von rund 6.509 m².
Die Kombination aus naturnaher Höhenlage, beeindruckendem Fernblick, historisch geprägtem Umfeld und vollständiger Flexibilität bei der Grundstücksteilung macht dieses Areal zu einer einzigartigen Gelegenheit im Taunus. Die Nähe zu Kelkheim, Frankfurt, Wiesbaden und dem gesamten Rhein-Main-Gebiet sichert zusätzlich eine hervorragende Verkehrsanbindung, während das ruhige, verkehrsfreie Wohnumfeld höchsten Wohnkomfort garantiert.
Dieses Grundstück bietet somit eine seltene Chance, sich eine potenzielle Wohnbaufläche in einer der exklusivsten und attraktivsten Lagen des Taunus zu sichern – mit langfristigem Entwicklungspotenzial, flexiblem Erwerb und außergewöhnlichen Aussichten.
Anbieter
HausHirsch GmbH
Herr Marius Wolf
Dreischeibenhaus
40211 Düsseldorf
40211 Düsseldorf
Ansprechpartner
Thorsten Schöbernig
Dreischeibenhaus 6
40211 Düsseldorf
40211 Düsseldorf